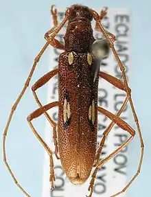
Beraba iuba
Scientific classification
Kingdom:
Phylum:
Class:
Order:
Suborder:
Family:
Genus:
Species:
B. iuba
Binomial name
Beraba iuba

Beraba iuba is a species of beetle in the family Cerambycidae.[1]

References

  1. Bezark, Larry G. A Photographic Catalog of the Cerambycidae of the World Archived 2013-08-27 at the Wayback Machine. Retrieved on 22 May 2012.


This article is issued from Wikipedia. The text is licensed under Creative Commons - Attribution - Sharealike. Additional terms may apply for the media files.